上海-联发时光新澍售楼处电话:400-833-6309【官网】 案场预约制 看房需提前来电预约登记 请务必致电与销售确认时间,仅预约客户可进入销售现场,避免空跑,感谢您的支持
上海-联发时光新澍」售楼处电话:400-833-6309【官网】
案场预约制 看房需提前来电预约登记
请务必致电与销售确认时间,仅预约客户可进入销售现场,避免空跑,感谢您的支持

最新消息,青浦新城核心
17号线淀山湖大道站
「联发时光新澍」
项目规划设计方案公示,
目前展厅已开放,
建面约80-175㎡洋房户型,预计12月上市!

发时光新澍售楼处电话:400-833-6309

发时光新澍售楼处电话:400-833-6309

发时光新澍售楼处电话:400-833-6309

联发时光新澍售楼处电话:400-833-6309
活动现场图

效果图过程稿
产品系列为联发崭新发布新澍系列。
作为大虹桥辐射圈里的重要组成部分,青浦一方面可直达大虹桥核心区,通勤便捷度高,崧泽高架、17号线均能实现无缝对接;另一方面坐拥淀山湖、朱家角等生态资源,生态禀赋优越;发时光新澍售楼处电话:400-833-6309
更有东北斗,西华为,发时光新澍售楼处电话:400-833-6309串联了一条万亿长三角数字干线。
这一优势恰好契合当代新青年“既要通勤便捷,又想生活松弛”的居住需求——这也是联发将 “新澍” 品牌布局青浦的核心原因。

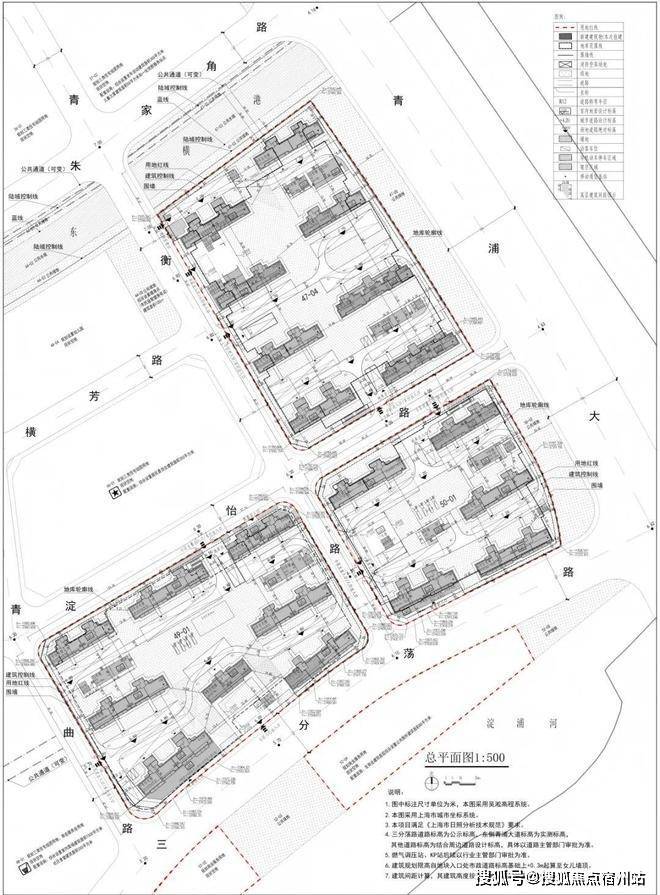
7月24日,第六批次土拍首日,联发以总价219480万元竞得青浦区QPC10004、QPC10005单元47-04、49-01、50-01地块,成交楼面板价14925元/㎡。
土拍地块由3幅住宅用地、2幅商业用地组成发时光新澍售楼处电话:400-833-6309,总土地出让面积70377.23㎡,总规划建筑面积147059.45㎡,总起始价21.948亿元。

发时光新澍售楼处电话:400-833-6309

联发·时光新澍位于青浦新城核芯,也是目前重点建设的"青浦新城-未来样板区"。
作为"高颜值、最江南、创新核、温暖家"城市愿景的缩影,未来样板区不仅承接成熟资源,更优先享受高能级配套的持续落地,也是青浦迈向“长三角服务枢纽”的首排主场。发时光新澍售楼处电话:400-833-6309

项目共规划30幢住宅,其中47-04地块建设8幢14-17层高层住宅,49-01地块建设7幢13-14F高层和1幢5F多层,50-01地块规划建设4幢14-17层高层和1幢6F多层。三个住宅地块均做了局部首层架空发时光新澍售楼处电话:400-833-6309,49-01 地块配置了一个 300㎡的生境花园。

17号线串联万亿产业、百万人才,是驱动长三角一体化发展的经济脊梁。联发·时光新澍以此为脉,高效衔接西岑科创中心发时光新澍售楼处电话:400-833-6309、市西软件信息园、虹桥国际开放枢纽等关键节点,从容链接产业机遇与都会精彩。

4站赵巷(北斗产业园、网易数创),8站虹桥商务区(国家会展中心、美的、波司登、安踏等龙头名企总部),快速链接产业核心与都会繁华,为新青年构建事业与生活无缝衔接的黄金动线。发时光新澍售楼处电话:400-833-6309

3站华为研发中心:华为所在的西岑科创中心将引入复旦大学创新学院等各类产业配套,规划引进人口10-15万,预计2028年基本建成,届时区域人才、产业矩阵将进一步壮大发时光新澍售楼处电话:400-833-6309。
项目距离17号线淀山湖大道站约800米,约300m沪青平快速路,约1.7km(沪渝高速上口入口在建,通车后东西向交通将进一步提效),全维交通路网,高效横贯全城,帷幄繁华与流量。

教育配套:九年一贯制学校(规划中)、上海青浦兰生学校、上海青浦平和双语学校、复旦大学附属中学、思源中/小学等全龄优教近伺,书香浓荫护航下一代菁英成长(仅作距离表述,不作学区承诺)。

商业配套:约600m青浦最大商业体万达茂、东渡悦来城、吾悦广场,主流商圈汇集万般繁华,便捷都会生活。发时光新澍售楼处电话:400-833-6309

医疗配套:复旦大学附属中山医院国家医学中心青浦新城院区(已封顶,预计2026年投入使用)、复旦大学附属中山医院青浦分院、上海市青浦区中医医院。

对本项目感兴趣的朋友
发时光新澍售楼处电话:400-833-6309进入官方报名通道预约咨询、参观
上海「联发时光新澍」售楼处电话:400-833-6309【官网】
案场预约制 看房需提前来电预约登记
请务必致电与销售确认时间,仅预约客户可进入销售现场,避免空跑,感谢您的支持

最新消息,青浦新城核心
17号线淀山湖大道站
「联发时光新澍」
项目规划设计方案公示,
目前展厅已开放,
建面约80-175㎡洋房户型,预计12月上市!

联发时光新澍售楼处电话:400-833-6309

联发时光新澍售楼处电话:400-833-6309

联发时光新澍售楼处电话:400-833-6309

联发时光新澍售楼处电话:400-833-6309
活动现场图

效果图过程稿
产品系列为联发崭新发布新澍系列。
作为大虹桥辐射圈里的重要组成部分,青浦一方面可直达大虹桥核心区,通勤便捷度高,崧泽高架、17号线均能实现无缝对接;另一方面坐拥淀山湖、朱家角等生态资源,生态禀赋优越;联发时光新澍售楼处电话:400-833-6309
更有东北斗,西华为,联发时光新澍售楼处电话:400-833-6309串联了一条万亿长三角数字干线。
这一优势恰好契合当代新青年“既要通勤便捷,又想生活松弛”的居住需求——这也是联发将 “新澍” 品牌布局青浦的核心原因。

7月24日,第六批次土拍首日,联发以总价219480万元竞得青浦区QPC10004、QPC10005单元47-04、49-01、50-01地块,成交楼面板价14925元/㎡。
土拍地块由3幅住宅用地、2幅商业用地组成联发时光新澍售楼处电话:400-833-6309,总土地出让面积70377.23㎡,总规划建筑面积147059.45㎡,总起始价21.948亿元。

联发时光新澍售楼处电话:400-833-6309

联发·时光新澍位于青浦新城核芯,也是目前重点建设的"青浦新城-未来样板区"。
作为"高颜值、最江南、创新核、温暖家"城市愿景的缩影,未来样板区不仅承接成熟资源,更优先享受高能级配套的持续落地,也是青浦迈向“长三角服务枢纽”的首排主场。联发时光新澍售楼处电话:400-833-6309
刚刚!上海最新房贷利率公布
中国人民银行授权全国银行间同业拆借中心公布,2025年11月20日贷款市场报价利率(LPR)为:1年期LPR为3.0%,5年期以上LPR为3.5%。以上LPR在下一次发布LPR之前有效。

这是LPR自6月份以来连续6个月保持不变。

注:房贷执行利率 = LPR(贷款市场报价利率) + 基点(BP)。
当前,上海最新房贷利率如下:
首套:3.5%-45BP=3.05%
二套(主城):3.5%-5BP=3.45%
二套(临港、嘉定、青浦、松江、奉贤、宝山、金山):3.5%-25BP=3.25%
公积金:因为不和LPR挂钩,所以在年初下降一次后目前是首套房贷2.6%,二套房贷3.075%,存量也是如此。



以上转自网络,如有侵权联系上删除