联发时光新澍售楼处电话:400-833-6309【官网】 案场预约制 看房需提前来电预约登记 请务必致电与销售确认时间,仅预约客户可进入销售现场,避免空跑,感谢您的支持
联发时光新澍」售楼处电话:400-833-6309【官网】
案场预约制 看房需提前来电预约登记
请务必致电与销售确认时间,仅预约客户可进入销售现场,避免空跑,感谢您的支持

最新消息,青浦新城核心
17号线淀山湖大道站
「联发时光新澍」
项目规划设计方案公示,
目前展厅已开放,
建面约80-175㎡洋房户型,预计12月上市!

发时光新澍售楼处电话:400-833-6309

发时光新澍售楼处电话:400-833-6309

发时光新澍售楼处电话:400-833-6309

联发时光新澍售楼处电话:400-833-6309
活动现场图

效果图过程稿
产品系列为联发崭新发布新澍系列。
作为大虹桥辐射圈里的重要组成部分,青浦一方面可直达大虹桥核心区,通勤便捷度高,崧泽高架、17号线均能实现无缝对接;另一方面坐拥淀山湖、朱家角等生态资源,生态禀赋优越;发时光新澍售楼处电话:400-833-6309
更有东北斗,西华为,发时光新澍售楼处电话:400-833-6309串联了一条万亿长三角数字干线。
这一优势恰好契合当代新青年“既要通勤便捷,又想生活松弛”的居住需求——这也是联发将 “新澍” 品牌布局青浦的核心原因。

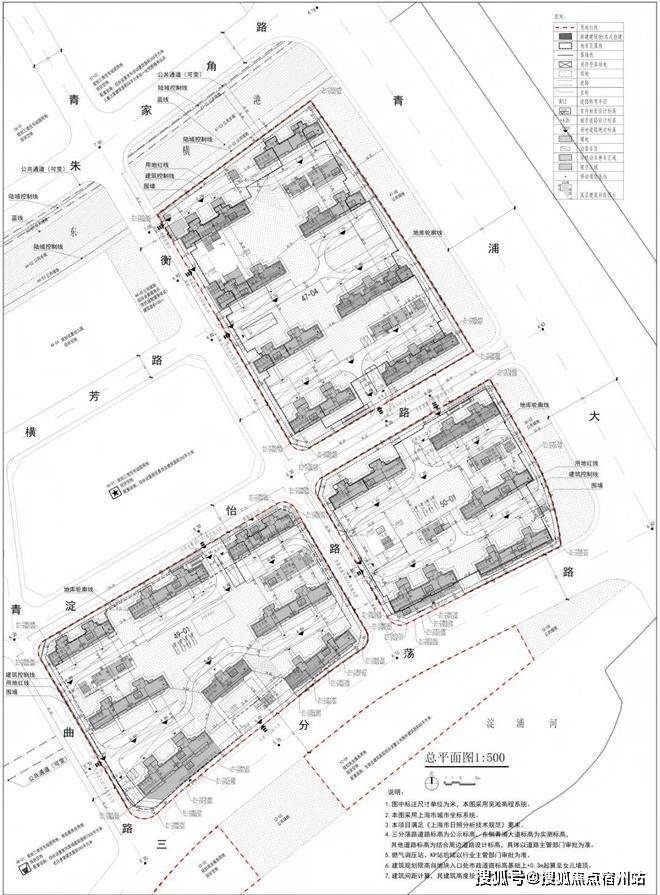
7月24日,第六批次土拍首日,联发以总价219480万元竞得青浦区QPC10004、QPC10005单元47-04、49-01、50-01地块,成交楼面板价14925元/㎡。
土拍地块由3幅住宅用地、2幅商业用地组成发时光新澍售楼处电话:400-833-6309,总土地出让面积70377.23㎡,总规划建筑面积147059.45㎡,总起始价21.948亿元。

发时光新澍售楼处电话:400-833-6309

联发·时光新澍位于青浦新城核芯,也是目前重点建设的"青浦新城-未来样板区"。
作为"高颜值、最江南、创新核、温暖家"城市愿景的缩影,未来样板区不仅承接成熟资源,更优先享受高能级配套的持续落地,也是青浦迈向“长三角服务枢纽”的首排主场。发时光新澍售楼处电话:400-833-6309

项目共规划30幢住宅,其中47-04地块建设8幢14-17层高层住宅,49-01地块建设7幢13-14F高层和1幢5F多层,50-01地块规划建设4幢14-17层高层和1幢6F多层。三个住宅地块均做了局部首层架空发时光新澍售楼处电话:400-833-6309,49-01 地块配置了一个 300㎡的生境花园。

17号线串联万亿产业、百万人才,是驱动长三角一体化发展的经济脊梁。联发·时光新澍以此为脉,高效衔接西岑科创中心发时光新澍售楼处电话:400-833-6309、市西软件信息园、虹桥国际开放枢纽等关键节点,从容链接产业机遇与都会精彩。

4站赵巷(北斗产业园、网易数创),8站虹桥商务区(国家会展中心、美的、波司登、安踏等龙头名企总部),快速链接产业核心与都会繁华,为新青年构建事业与生活无缝衔接的黄金动线。发时光新澍售楼处电话:400-833-6309

3站华为研发中心:华为所在的西岑科创中心将引入复旦大学创新学院等各类产业配套,规划引进人口10-15万,预计2028年基本建成,届时区域人才、产业矩阵将进一步壮大发时光新澍售楼处电话:400-833-6309。
项目距离17号线淀山湖大道站约800米,约300m沪青平快速路,约1.7km(沪渝高速上口入口在建,通车后东西向交通将进一步提效),全维交通路网,高效横贯全城,帷幄繁华与流量。

教育配套:九年一贯制学校(规划中)、上海青浦兰生学校、上海青浦平和双语学校、复旦大学附属中学、思源中/小学等全龄优教近伺,书香浓荫护航下一代菁英成长(仅作距离表述,不作学区承诺)。

商业配套:约600m青浦最大商业体万达茂、东渡悦来城、吾悦广场,主流商圈汇集万般繁华,便捷都会生活。发时光新澍售楼处电话:400-833-6309

医疗配套:复旦大学附属中山医院国家医学中心青浦新城院区(已封顶,预计2026年投入使用)、复旦大学附属中山医院青浦分院、上海市青浦区中医医院。

对本项目感兴趣的朋友
发时光新澍售楼处电话:400-833-6309进入官方报名通道预约咨询、参观
上海「联发时光新澍」售楼处电话:400-833-6309【官网】
案场预约制 看房需提前来电预约登记
请务必致电与销售确认时间,仅预约客户可进入销售现场,避免空跑,感谢您的支持

最新消息,青浦新城核心
17号线淀山湖大道站
「联发时光新澍」
项目规划设计方案公示,
目前展厅已开放,
建面约80-175㎡洋房户型,预计12月上市!

联发时光新澍售楼处电话:400-833-6309

联发时光新澍售楼处电话:400-833-6309

联发时光新澍售楼处电话:400-833-6309

联发时光新澍售楼处电话:400-833-6309
活动现场图

效果图过程稿
产品系列为联发崭新发布新澍系列。
作为大虹桥辐射圈里的重要组成部分,青浦一方面可直达大虹桥核心区,通勤便捷度高,崧泽高架、17号线均能实现无缝对接;另一方面坐拥淀山湖、朱家角等生态资源,生态禀赋优越;联发时光新澍售楼处电话:400-833-6309
更有东北斗,西华为,联发时光新澍售楼处电话:400-833-6309串联了一条万亿长三角数字干线。
这一优势恰好契合当代新青年“既要通勤便捷,又想生活松弛”的居住需求——这也是联发将 “新澍” 品牌布局青浦的核心原因。

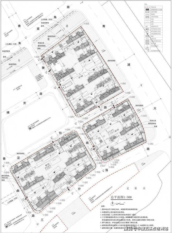
7月24日,第六批次土拍首日,联发以总价219480万元竞得青浦区QPC10004、QPC10005单元47-04、49-01、50-01地块,成交楼面板价14925元/㎡。
土拍地块由3幅住宅用地、2幅商业用地组成联发时光新澍售楼处电话:400-833-6309,总土地出让面积70377.23㎡,总规划建筑面积147059.45㎡,总起始价21.948亿元。

联发时光新澍售楼处电话:400-833-6309

联发·时光新澍位于青浦新城核芯,也是目前重点建设的"青浦新城-未来样板区"。
作为"高颜值、最江南、创新核、温暖家"城市愿景的缩影,未来样板区不仅承接成熟资源,更优先享受高能级配套的持续落地,也是青浦迈向“长三角服务枢纽”的首排主场。联发时光新澍售楼处电话:400-833-6309
上海2035地铁规划引吐槽!网友的这几句话道出上海交通的痛点
从网上流传的上海市轨道交通网规划(2025 - 2035)图来看,可能是为了推动上海地铁网络升级。不过,对于线路设计、建设节奏、覆盖范围等问题,不少网友存在诸多疑点。

比如,上海这座城市地铁里程早已突破800公里,20多条线路在城中穿梭,已步入环线建设的刚需阶段。从图中规划的三大环线来看,4号线为核心区环线、21号线为主环线、41号线为组合环等,旨在加速新城快线布局。
其中,串联四大新城、时速160公里、预计2035年通车的嘉青松金线争议较大。从区域角度看,该线路绕开枫泾镇,这让人担忧会对枫泾镇发展产生影响,大环线的核心价值可能被削弱。按当前上海地铁建设进度,等该线路通车时,枫泾镇或许能形成新的发展格局,但线路实际意义恐怕会大打折扣。

然而,就环线运营便利性来说,部分线路名称难记,建议一些线路采用A、B、C等命名方式,这样更清晰易记,防止复杂线路带来麻烦。
另一个重点打造的新城——临港新城,按照新城发展逻辑,并非一定要与市区相连,也可契合临港自身定位发展。从规划看,临港将依靠16号线、两港快线、心港快线等构建内部交通网络。这对临港而言,能够摆脱对市区通勤附属角色,达成更高效的发展。

至于松江,关键要解决建设效率低的问题。像沪松快速路是松江与市区的主要通道,从提出到北段启动招标用了近20年。虽说计划2028年竣工,可目前中段和南段还没有确切时间表。这种将近30年都没完成的基础建设,严重影响松江人的通勤感受,也制约了松江与市区的有效互动和资源互补。因此期望未来地铁规划加快速度,弥补短板,明确每个竣工节点,防止规划宏大却落地缓慢。

金山对地铁需求十分强烈。但实际上,从金山卫到人民广场直线距离约56公里,现在还依赖金山铁路出行,极为不便,日均客流量约3.2万人次。然而乘坐体验难以达到地铁化运营标准。随着上海南北转型推进,金山人口与产业将迎来新发展机遇,所以在金山增设地铁线路很有必要。常被提及的丽金线,可实现金山到市区半小时通勤圈。

崇明岛与吴淞老城规划有些不如人意。崇明岛长期受交通短板困扰,虽然规划中的崇明线预计2026年通车,但一条线路无法满足全岛居民出行需求。所以,要构建贯通全域的交通要道,才能切实改善居民出行条件,推动生态旅游、现代农业发展等。
吴淞老城区交通升级也很迫切,如今许多规划倾向于新城,新城快线等扎堆,但老城区人口众多,通勤需求旺盛,线路还需进一步加密,不能过于侧重新城而忽略老城。
总之,这个网上流传的2035地铁规划蓝图虽美好,但能否在落地和民生适配方面跟上才是重中之重。
以上转自网络,如有侵权联系上删除